తుఫాన్ తీరం తాకిందని, తీరం దాటిందని తుఫాన్ కు సంబంధించిన వార్తల గురించి వింటుంటాం. అసలు తుఫాన్ తీరం తాకడం అంటే ఏంటి, తీరం దాటడం అంటే ఏంటి? తుఫాన్ తీరం తాకిన తర్వాత దాని తీవ్రత ఎక్కువ ఉంటుందా? అసలు వీటి గురించి తెలుసుకుందాం.
తుఫాన్ తీరం తాకడం అంటే ఏంటి?
అధిక పీడనం ఉన్న చోట నుంచి తక్కువ పీడనం ఉన్న చోటుకు గాలి పయనిస్తుంది. పీడనం తగ్గేకొద్దీ గాలి వేగం పెరుగుతుంది. అయితే సముద్ర వాతావరణంలో ఈ రకమైన అలజడి ఏర్పడితే పీడనం తగ్గిపోతుంది. ఈ ప్రక్రియను ద్రోణి అంటారు. పీడనం తగ్గే కొద్దీ తీవ్రత పెరుగుతుంది. ఆ పీడనం తగ్గే కొద్దీ దాని పేరు మారుతూ వస్తుంది. ద్రోణిలో పీడనం తగ్గితే అల్ప పీడనం అవుతుంది. దాని తీవ్రత పెరిగితే వాయు గుండంగా మారుతుంది. ఇంకా తీవ్రత పెరిగితే తుఫాన్ గా మారుతుంది. సముద్రంలో సుడులు రూపంలో ఉండే తుఫాన్ రూపంలో ఉండే తుఫాన్ భూ వాతావరణంలోకి ప్రవేశించడాన్ని తీరాన్ని తాకడం అంటారు. లేదా తుఫాన్ కేంద్రం అంచులు సముద్రం నుంచి భూమి మీదకు ప్రవేశించగానే తీరాన్ని తాకిన తుఫాన్ అంటారు. అది పూర్తిగా భూమి మీదకు వచ్చేస్తే అప్పుడు తీరం దాటిన తుఫాన్ అంటారు.తుఫాన్ తీరాన్ని తాకగానే సుడులు రూపంలో ఉన్న మేఘాలు చెల్లాచెదురై భారీ వర్షాలు కురుస్తాయి.
తుఫాన్ తీరం దాటడం అంటే ఏంటి?
సముద్రంలో వేడెక్కిన నీటి ఆవిరిని తుఫాన్లు గ్రహిస్తాయి. సముద్రంలో ఏర్పడే సుడుల వల్ల చల్లబడి దట్టమైన మేఘాలుగా ఏర్పడి తుఫాన్తో కలిసి ప్రయాణిస్తాయి. తుఫాన్ తీరం తాకడం అంటే ఒక రకంగా చెప్పాలంటే ఉష్ణమండల తుపాన్ నీటిపైకి వెళ్లి భూమిపైకి రావడాన్ని తీరం దాటడం అంటారు.తుఫాన్ కేంద్రం లేదా దాని కన్ను తీరం మీదుగా కదులుతున్నప్పుడు ఉష్ణ మండలం తుపాన్ తీరం దాటిందని చెబుతారు. లేదా సముద్రం నుంచి కదులుతూ వచ్చే తుఫాన్ ఎక్కడో ఒక చోట భూమి మీదకు వస్తే దాన్ని తీరం దాటడం అంటారు. అంటే ల్యాండ్ ఫాల్ ను డైరెక్టుగా ఢీతో పోల్చకూడదు. ఇది అధిక గాలుల కోర్ ఒడ్డుకు వచ్చినప్పటికీ తుఫాన్ కేంద్రం ఆఫ్ షోర్ లోనే ఉండే పరిస్థితిని సూచిస్తుంది. తీరం దాటడం కొన్ని గంటలపాటు ఉంటుంది. అయితే కచ్చితమైన వ్యవధి గాలుల వేగం, తుఫాన్ వ్యవస్థ పరిమాణంపై ఆధారపడి ఉంటుంది. తుఫాన్ తీరం దాటిన తర్వాత భారీ వర్షపాతం, తుఫానులు, తీవ్రమైన వరదలకు కారణం అవుతాయి. సుడులకు కారణమైన గాలులు తీరం పైకి గంటకు 61 నుంచి 250 కి.మీ. వేగంగా ప్రయాణించగలవు.
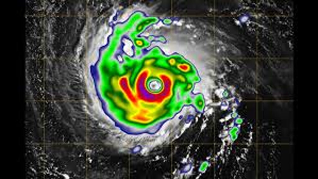
తుఫాన్ లో కన్ను అంటే ఏంటి?
తుఫాన్ సుడిలో ఉండే అతిపెద్ద శూన్య ప్రదేశాన్ని కన్ను అని పిలుస్తారు. తుఫాన్ లో కన్ను కూడా ప్రమాదకరమే. మధ్యలో ఖాళీగా ఉండి చుట్టూ దట్టమైన మేఘాలు అల్లుకుని ఉండే వ్యవస్థను తుపాను అంటారు. అంటే పై నుంచి చూస్తే మేఘాలతో తయారైన వలయంలా ఉంటుందనుకోవచ్చు. ఆ మధ్యలోని ఖాళీని తుఫాన్ కన్ను అని అంటారు. ఆ ఖాళీ చుట్టూ అత్యంత బలమైన భారీ వర్షాలు కురిపించే మేఘాలుంటాయి. ఈ కన్ను భూమిపైకి రాగానే తుఫాన్ ఆగిపోయిందనే భ్రమ కలుగుతుంది. అది తీరాన్ని దాటిన తర్వాత తుఫాన్ ప్రభావం మళ్లీ కొనసాగుతుంది.
తుఫాన్ ఎప్పుడు శక్తి క్రమంగా తగ్గిపోతుంది?
సముద్రంలో ఉన్నంతసేపు తుపాన్ కు బలం ఉంటుంది. తీరం దాటిన తర్వాత దాని శక్తి క్రమంగా తగ్గిపోతుంది. సముద్ర నీటి ఉష్ణోగ్రతల వల్ల తుఫాన్లకు ఆవిరి చేరి థర్మల్ ఎనర్జీ అందుతుంది. దాంతో అది మరింత బలపడుతుంది. భూమి మీదకు రాగానే ఆ శక్తి అందడం ఆగిపోతుంది. తుఫాన్ సముద్రంలో కదలడానికి ఎలాంటి అడ్డంకులు ఉండవు. కానీ, భూమి మీదకు రాగానే చెట్లు, భవనాలు, కొండలు వంటివి అడ్డంగా ఉంటాయి. సముద్రంలో మాదిరిగా భూమి మీద తుఫాన్ కు నీరు అందదు. తుపాను తీవ్రతను బట్టి అది భూమి మీదకు ప్రవేశించిన ప్రాంతాన్ని బట్టి విధ్వంసం ఆధారపడి ఉంటుంది. ఇక తుపాను అధిక వ్యాసంతో ఉండి, దట్టమైన మేఘాలతో ఉంటే తీవ్రత ఎక్కువగా ఉంటుంది.
